Overview
Plot for sale in Markham Road, Tuxford, Newark
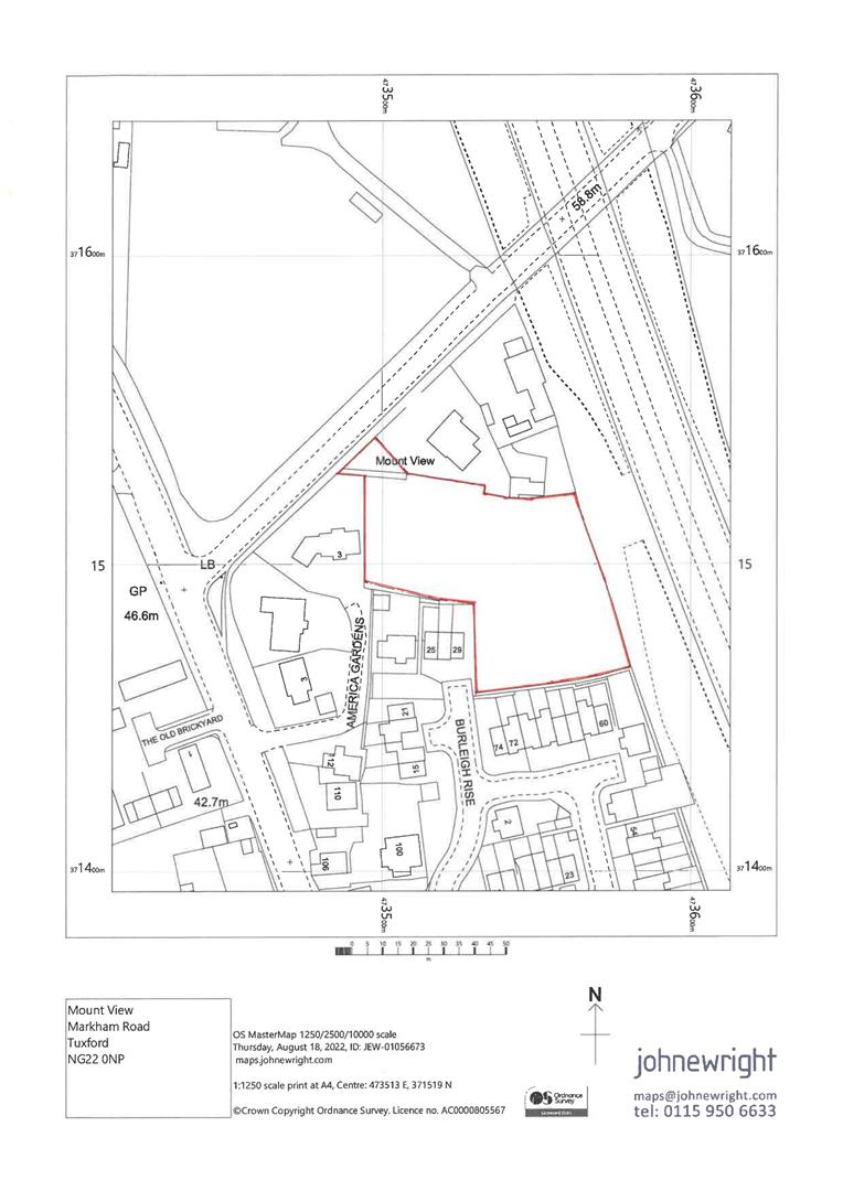
A residential building site with outline planning permission granted until November 2025 for the erection of 5 four bedroomed detached houses. Reserved matters are also approved for the scale, appearance, layout and landscaping. The site is capable of accommodating detached properties, each over 2000 sq. ft with the potential of a substantial Gross Development Value. The site is situated on contoured land and whilst adjacent to the A1 trunk road, there is an established tree lined embankment and the site contours offer a natural landscape.A residential building site with outline planning permission granted until November 2025 for the erection of 5 four bedroomed detached houses. The site is...
Read more
A residential building site with outline planning permission granted until November 2025 for the erection of 5 four bedroomed detached houses. Reserved matters are also approved for the scale, appearance, layout and landscaping. The site is capable of accommodating detached properties, each over 2000 sq. ft with the potential of a substantial Gross Development Value. The site is situated on contoured land and whilst adjacent to the A1 trunk road, there is an established tree lined embankment and the site contours offer a natural landscape.
A residential building site with outline planning permission granted until November 2025 for the erection of 5 four bedroomed detached houses. The site is capable of accommodating detached properties, each over 2000 sq. ft with the potential of a substantial Gross Development Value. The site is situated on contoured land and whilst adjacent to the A1 trunk road, there is an established tree lined embankment and the site contours offer a natural landscape.
The site is conveniently situated off Markham Road with footpaths into Tuxford Market Place and the local amenities. A primary school and the Tuxford Academy secondary school are within easy access to the property.
Tuxford is an attractive market town with a Georgian centre said to have been completely rebuilt after a fire in 1702. Important through the ages as a coaching centre, Tuxford is situated at the crossing of the Great North Road and Lincoln Road. The A1 now bypasses the village adjacent to this site and there are access points north at Markham Moor and south from Tuxford. There are a variety of shops in the attractive Market Square and the major centres of Newark, Retford, Ollerton and Lincoln are within easy commuting distance. The Tuxford Academy has an excellent reputation and keenly selected by parents in the surrounding catchment areas.
Town And Country Planning - Outline planning permission with Reserved Matters was granted by Bassetlaw District Council to erect 5 dwellings under application number 22/01188/OUT and this consent is valid until 24th November 2025.
The documents and approved plans can be viewed on the Bassetlaw District Council planning portal (https://publicaccess.bassetlaw.gov.uk/online-applications) or at the offices of Richard Watkinson & Partners.
Access - The purchasers will be responsible for widening the existing access in accordance with the planning condition.
Community Infrastructure Levy (Cil) - Purchasers will be responsible for the CIL charge which will be assessed when detailed plans are approved.
Services - Mains water and electricity are understood to be available at Markham Road with existing ducting to the site.
Foul drainage is available at Burleigh Court where there is a manhole and the availability for surface water into a storm drain subject to attenuation details. Purchasers should make their own enquiries as to the technical matters.
Viewing - The site is secure and viewing is strictly by appointment with the selling agents Richard Watkinson & Partners.
Read less
Key info
- Residential Building Land
- Site Area 1.04 Acre (0.42 Ha)
- Outline Planning Permission Valid Until November 2025
- Detached Four Bedroom Houses Planned
- Mains Water, Electricity and Drainage Available
- Exceptionally Good Sized Plots
- Local Services, Primary School and Tuxford Academy