*** AUCTION GUIDE PRICE ?60,000 TO ?80,000 ***
Sale by auction Thursday 26th February 2026, Nottingham Racecourse, Colwick Park, Nottingham NG2 4BE.
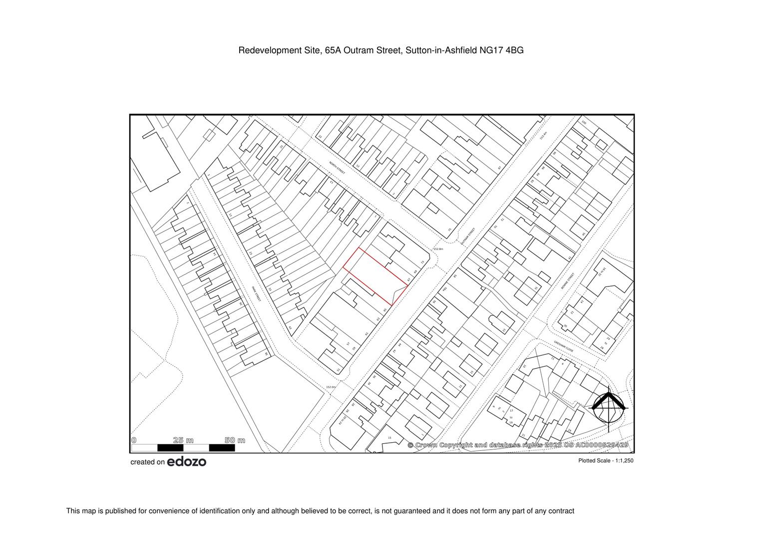
Bare Land redevelopment site with a frontage of approximately 40m and area 400 sq. m approximately. The site is suitable for redevelopment as retail and residential, subject to Planning Permission.
The area is predominantly retail with residential upper floors. A Scheme for the erection of a new build three storey residential unit, comprising 2 x one bedroom, 5 x two bedroom, and 1 x three bedroom flats with parking has been prepared for the purposes of a Pre-application Enquiry.
*** AUCTION GUIDE PRICE ?60,000 TO ?80,000 ***
Sale by auction Thursday 26th February 2026, Nottingham Racecourse, Colwick Park, Nottingham NG2 4BE.
Bare Land redevelopment site with a frontage of approximately 40m and area 400 sq. m approximately. The site is suitable for redevelopment as retail and residential, subject to Planning Permission.
The area is predominantly retail with residential upper floors. A Scheme for the erection of a new build three storey residential unit, comprising 2 x one bedroom, 5 x two bedroom, and 1 x three bedroom flats with parking has been prepared for the purposes of a Pre-application Enquiry.
Sutton in Ashfield is a market town in Nottinghamshire with a population of 36,400 recorded in the 2021 Census. The town is situated 4 miles west of Mansfield, 2 miles from the Derbyshire border, and 12 miles north of Nottingham. The thriving town centre has a variety of shops, cafes and restaurants. The location is convenient for Junction 28 on the M1, take the A38 to Sutton in Ashfield.
Town & Country Planning - There is no recent planning history to the site.
Services - Mains water, electricity, gas and drainage are understood to be available, but purchasers should make their own enquiries as to the technical details and engineering required.
Tenure - The land is freehold, registered Title NT408513.
Possession - Vacant possession will be given on completion.
Viewing - Register interest with the Auctioneers. Viewing on site. Please note the frontage boarding is permanent and there is no access into the site.
Plan - A plan is included in these particulars.
Important Note - Please see www.auctionestates.co.uk for the legal pack and the contract special conditions. Conditions of sale and all related documents are available at the offices of the Auctioneers and the Vendors Solicitors.
Auction Estates will conduct the auction in accordance with Addition 4 (September 2019) of The Common Auction Conditions of Sale.
Interested parties are able to download legal documents and pack directly from Auction Estates website.
Buyers Fee - Please note that Auction Estates will be charging a buyers fee of ?1,500 plus VAT. This amount is payable regardless of whether a sale occurs before, during or after the auction and will be collected on exchange of contracts.
Aml - The Money Laundering Regulations 2007 compel the Auctioneers to conduct certain identity checks prior to acceptance of the offer. In order to meet these requirements please contact Auction Estates with certified copies of both photographic ID and proof of address.
Special Conditions Of Sale - The Vendors Solicitor is Sheila Mott, Clayton Mott & Sons Solicitors, 67 Loughborough Road, West Bridgford, Nottingham NG2 7LA.
Read less