Overview
Farm Land for sale in West of Foster Road, Collingham, Newark
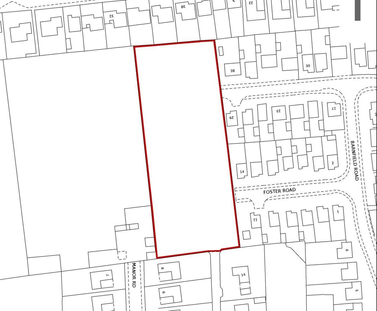
A grass field extending to 0.62 hectare (1.544 acre) or thereabouts. Centrally situated in the village of Collingham. The land has access via a pedestrian gate and public footpath at the Fosters Road cul-de-sac.A grass field extending to 0.62 hectare (1.544 acre) or thereabouts. Centrally situated in the village of Collingham. The land has access via a pedestrian gate and public footpath at the Foster Road cul-de-sac.A very useful parcel of land suitable for amenity purposes, nature and conservation. The land is level, light loamy sand gravel, free draining capable also for use as allotment gardens.The land is within an area designated by Newark and Sherwood Council Local Plan as 'Main Open...
Read more
A grass field extending to 0.62 hectare (1.544 acre) or thereabouts. Centrally situated in the village of Collingham. The land has access via a pedestrian gate and public footpath at the Fosters Road cul-de-sac.
A grass field extending to 0.62 hectare (1.544 acre) or thereabouts. Centrally situated in the village of Collingham. The land has access via a pedestrian gate and public footpath at the Foster Road cul-de-sac.
A very useful parcel of land suitable for amenity purposes, nature and conservation. The land is level, light loamy sand gravel, free draining capable also for use as allotment gardens.
The land is within an area designated by Newark and Sherwood Council Local Plan as 'Main Open Space'. Whilst planning permission will not normally be granted within an area of designated Main Open Space, there may be long term hope value and planning potential.
Plan - A plan is attached to these particulars for identification purposes.
Public Footpath - A public footpath crosses the land.
Tenure - The land is freehold and offered for sale with vacant possession.
Access - There is no vehiclular access to the land. Prospective purchasers should note that planning permission and Highways approval will be necessary if vehicular access is required.
Possession - Vacant possession will be given on completion.
Services - There are no mains services connected on the land.
Viewing - Strictly by appointment with the selling agents.
Read less
Key info
- Grass Paddock 0.62 Hectare (1.54 Acre)
- Centrally Situated in Collingham Village
- Access via Pedestrian Gate and Public Footpath
- Currently Designed Main Open Space
- Long Term Development Potential
- Useful Pony and Horse Grazing