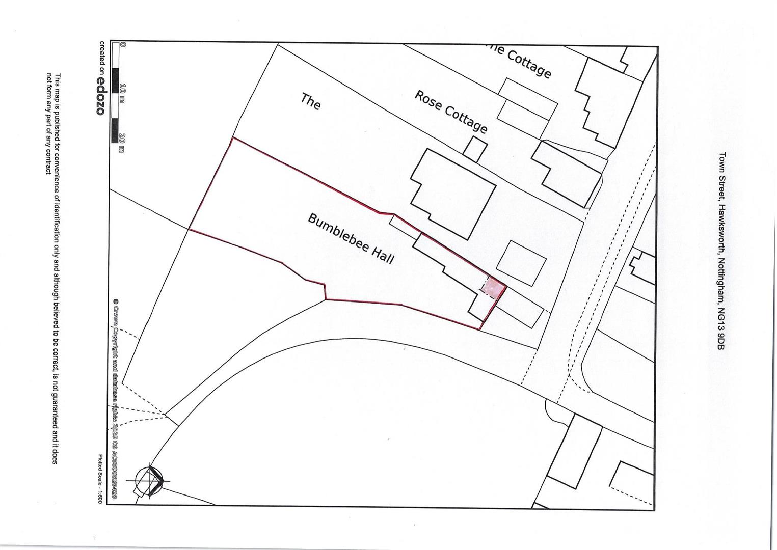
***PRICE GUIDE 400,000 - 425,000*** Bumble Bee Hall comprises a 19th Century three bedroomed cottage standing in 1040 sq.m (0.257 acre) or thereabouts within the Hawksworth Conservation Area. There is a range of domestic outbuildings and the property stands in established gardens. Central heating is oil fired with panelled radiators. Purpose made double glazed windows in character with the property have been installed in recent years. The property, attached to Beech Cottage, has a south facing aspect and views within the Conservation Area.
The accommodation provides on the ground floor reception hall, sitting room with fireplace, spacious dining kitchen, inner lobby with staircase and downstairs bathroom. The first floor provides three bedrooms (the middle bedroom non-private). The property is subject to a flying freehold with part of a bedroom to Beech Cottage located over the ground floor bathroom of Bumble Bee Hall.
Externally there is a range of brick and pantile outbuildings comprising coal house, garden store, workshop, wash house and open bay log store. There is a fascinating old manual water pump in the front yard. The garden, containing trees and shrubs, is well capable of landscaping and reinstatement to it's former glory.
Hawksworth is a Nottinghamshire Conservation village lying 8 miles south of Newark, close to the villages of Flintham, Sibthorpe, Thoroton, Scarrington and Screveton. The larger settlement of Bingham is within 4 miles where there are facilities including shops and schools. The village is approached by country lanes with easy access to the A46 and A52 trunk roads. Nottingham approximately 12 miles. A focal point of the village is St Mary and All Saints Church, the brick tower noted as a pleasant oddity circa 1700 in the Gothic tradition. The fine stone Manor House stands close to the property with many interesting and notable houses in the vicinity.
The property is constructed with brick elevations under a pantiled roof. The following accommodation is provided:
Ground Floor -
Entrance Hall - 3.53m x 2.31m (11'7 x 7'7) - Double panelled radiator and double glazed window.
Sitting Room - 4.11m x 3.68m (13'6 x 12'1) - Brick fireplace and heavily beamed ceiling, single glazed window and double glazed front window. Double panelled radiator.
Dining Kitchen - 5.56m x 3.76m (18'3 x 12'4) - (overall measurements)
Chimney breast opening with the Camray oil fired central heating boiler, beamed ceiling, radiator, double glazed window, stainless steel double drainer sink unit.
Inner Lobby - With cupboard under the stairs. Single glazed window. Electrical fuse system.
Bathroom - 2.64m x 2.18m (8'8 x 7'2) - Bath, basin, low suite WC. Radiator, beamed ceiling, electric heated towel rail, single glazed window.
First Floor -
Landing - With pine doors off.
Bedroom One - 3.99m x 3.66m (13'1 x 12') - Double panelled radiator, double glazed window.
Bedroom Two - 4.39m x 3.96m (14'5 x 13') - Double panelled radiator, sealed unit double glazed window.
Bedroom Three - 3.96m x 2.44m (13' x 8') - (non-private and at present a corridor between Bedrooms 2 and 3)
Built in cupboard, recess with airing cupboard containing the hot water cylinder.
Outside - There is a crazy paved forecourt to the property.
Range of outbuildings of brick construction under a pantiled roof comprising:
Coalhouse (10'7 x 7'9)
Workshop (10'7 x 6'10)
Wash House (11' x 7'8) with old copper
Open Bay Log Store
Externally also is a small greenhouse.
The plot extends to 1041 sq.m (0.25 acre or thearabouts) outlined on the attached plan for identification purposes.
Services - Mains water, electricity, and drainage are all connected to the property.
Tenure - The property has been in family ownership for many years. An application to Land Registry has been made for possessory Title. An Indemnity Policy will be provided at the Seller's expense.
Possession - Vacant possession will be given on completion.
Mortgage - Mortgage advice is available through our Mortgage Adviser. Your home is at risk if you do not keep up repayments on a mortgage or other loan secured on it.
Viewing - Strictly by appointment with the selling agents.
Council Tax - The property comes under Rushcliffe Borough Council Tax Band G.
Read less